0120-65-2163
営業時間9時~17時30分
定休日(毎週水曜日・第1.3火曜日)
お問い合わせ
価格3,080万円
土地面積:土地面積:155.50m²(約47.03坪) 建物面積:98.53㎡(約29.80坪)
間取:4LDK/JR草津線『貴生川』駅 徒歩10分
価格1,480万円
土地面積:130.13m²(約39.36坪)
建築条件付/帝産バス『野々宮』停 徒歩4分
価格680万円
土地面積:556.56m²(約168.35坪)
建築条件無/近江鉄道『日野』駅 徒歩41分・近江バス『越川町』停 徒歩2分
価格3,680万円
土地面積:土地面積:111.64㎡(約33.77坪) 建物面積:100.19m²(30.30坪)
間取:4LDK+WIC/JRびわこ線『瀬田』駅 徒歩28分
価格2,480万円
土地面積:130.39m²(約39.44坪)
建築条件無/びわこ線『膳所』駅 徒歩5分・京阪石坂線『京阪膳所』駅 徒歩8分
価格3,280万円
土地面積:305.00m²(約92.26坪)
建築条件無/びわこ線『南草津』駅 徒歩24分
価格1,850.6万円
土地面積:161.02m²(約48.70坪)
建築条件無/びわこ線『野洲』駅 徒歩16分
価格1,880万円
間取:4LDK/JRびわこ線『野洲』駅 徒歩7分
価格2,280万円
土地面積:土地面積:200.62m²(約60.68坪) 建物面積:112.40㎡(約34.00坪)
間取:4LDK/帝産バス『若草一丁目』バス停 徒歩3分
価格2,300万円
土地面積:土地面積:171.77m²(約51.96坪) 建物面積:112.60㎡(約34.06坪)
間取:5LDK/JR琵琶湖線『野洲』駅 徒歩37分
価格980万円
土地面積:134.75m²(約40.76坪)
建築条件無し/JR琵琶湖線『膳所』駅 徒歩14分
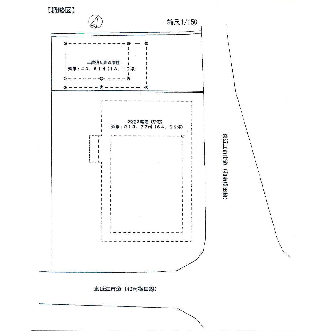
価格500万円
土地面積:443.64m²(約134.20坪)
建築条件無し/ちょこっとバス『和南』停 徒歩1分
太陽住宅の無料カタログはこちらからご請求ください
太陽住宅のコンセプトや事例集などスタッフてづくりのカタログをお送りいたします。
メールでのカタログ請求はこちら